En sesong på Stora Lee
- Atle Høidalen

- 15. okt. 2021
- 8 min lesing
Plassert midt på grensen mellom Norge og Sverige, med Aremark i vest, Dals-Ed i sør, Dalsland i øst og Värmland i nord finner vi Stora Lee. Innsjøen som har et areal på 136 kvadratkilometer og strekker seg hele 70 kilometer fra Ed til Töcksfors, er en såkalt klarvannsinnsjø med meget god siktdybde. Med sine drøye 300 små og store øyer og holmer er Stora Lee et paradis for kano- og kajakkpadlere i sommerhalvåret, men også blant sportsfiskerne er det mye spennende å ta for seg. Innsjøen holder en rekke arter, men det mest vanlige å treffe på er gjedde og abbor. I tillegg finnes det en og annen gjørs og en stamme med storørret. Er du heldig kan du også treffe på laks som har rotet seg opp fra Väneren.

Det er altså ved denne innsjøen vi spontankjøpte oss campingvogn tidlig i april i år. Etter et år med korona og brakkefeber orket vi rett og slett ikke tanken på en ny sommer med spolerte ferieplaner, og bare tanken på å komme seg ut av huset og ha et sted å dra til var nok til at alle tidligere erfaringer med livet i campingvogn var glemt, og på 1-2-3 var vi eiere av ei flott Hobby 650 vogn med vintertelt på Stora Lee Camping i Aremark.
Campingen har også et meget flott bryggeanlegg tilrettelagt for både båter og badegjester og det var selvsagt en betingelse fra undertegnedes side at dersom vi skulle ha campingvogn her så måtte vi også ha båtplass.
Camping trenger ikke bety lav standard. Vi har kost oss mye her denne sommeren.
På forhånd var forventningene mine til Stora Lee ganske store, noen år tidligere ble jeg faktisk klubbmester i Aremark Gjeddeklubb på denne innsjøen, med ei gjedde på drøye 90cm på noen timers fiske. Ikke en kjempefisk i seg selv, men mer en bekreftelse for meg på at, jo, her burde det være mulig å ha et spennende fiske gjennom sesongen. Historiene om 10 kilos gjedder var mange, og særlig virket også den nordøstlige delen av Stora Lee, også kalt Foxen, veldig spennende. Øst i Foxen finnes det i tillegg et eget lite innsjøsystem med mer grumsete vann hvor det er gode muligheter for å finne gjørs. På Kanalgratis.se sin Youtubekanal finner du også en ganske inspirerende film om gjeddefiske i Foxen.
Hvem blir ikke inspirert til å dra ut på jakt etter storgjedda etter å sett denne filmen?
Gjeddefiske
Stora Lee er en noe utypisk innsjø når det kommer til gjeddefiske. Gjeddene står ofte dypere enn man forventer i andre innsjøer, og de store individene finner du gjerne jagende pelagisk over dypt vann. Det oppgis at fisket er best om våren og høsten og jeg vil tro at det er særlig om våren når gjeddene trekker inn på grunnere områder for å gyte at sjansen for å treffe på storgjedda er størst. Jeg er ikke noen tilhenger av å fiske på gytende gjedde, men ville da prioritert å fiske langs kanter og overganger mellom dypt og grunt vann nær grunne områder og viker der fisken gjerne oppholder seg før den trekker inn for å starte selve gytingen.
Den norske delen av Stora Lee preges av mye skogsterreng med svaberg ned til sjøen, skal du finne mer "klassisk" gjeddehabitat så anbefaler jeg å ta turen nordover til Otteid eller sørover mod Ed. Ved Otteid snevrer Stora Lee inn og innsjøen har mer "elvepreg" med grunne kanter, siv og mer vegetasjon og struktur ned i vannet.
Jeg har opplevd mest kontakt med gjedde sørover mot Ed, her endrer miljøet seg også med mer vegetasjon, grunner og strukturer i og langs vannkanten. Som referert til i Kanalgratis.se sin video er det også verdt å ta turen østover til Foxen, det er kanskje her de aller største gjeddene befinner seg?
Tidlig i mai laget jeg en en liten film om gjeddefiske på Stora Lee, utbyttet fra turen ble ikke mye å skryte av men jeg benyttet også anledningen til å snakke litt om utstyret jeg benytter til dorging og spinnfiske etter gjedde.
Bli med en tur på gjedde fiske på Stora Lee en vårdag i mai.
På våren var det restriksjoner knyttet til kryssing av grensa mot Sverige på grunn av Korona. Jeg prioriterte derfor den norske delen av innsjøen og opplevde et tungt fiske. Dette betyr ikke at fisket etter gjedde i den norske delen av Stora Lee er dårlig, men jeg tror nok som tidligere nevnt at man må tenke litt annerledes, særlig under trolling, da fisken står dypt og gjerne jakter pelagisk.
Gjennom sesongen fikk vi da litt gjedde likevel, de aller fleste eksemplarene var dog relativt små, mellom 70cm-80cm i hovedsak. Gjeddene i Stora Lee kjennetegnes ved at de ofte er mørke i utseende og gjerne litt mer "gyldne" i fargen enn hva som er vanlig andre steder. Under ser dere et utvalg av gjeddene vi har fått i løpet av sesongen, samtlige av disse ble tatt under dorging med store gummiagn og wobblere.
Et utvalg gjedder som vi har fått gjennom sesongen.
Abborfiske
Nest etter gjedda er nok abboren den mest populære fisken på Stora Lee. Fisken vokser seg stor, og i likhet med gjedda må du også her tenke litt annerledes enn du kanskje er vant til. Abboren vil du finne langs grunnekanter, undervannstopper, øyer, skjær og holmer i hele Stora Lee, men de store eksemplarene finner du også jagende pelagisk over større dyp.
På lik linje med gjedda er min oppfatning at abboren også står dypt og veldig ofte nær bunn når den ikke jager aktivt. Som oftest fant jeg abboren på dyp mellom 5m-12m og dypere. Da jeg primært bedriver fang og slipp fiske så synes jeg 12m er maks dybde dersom fisken skal slippes ut igjen. Noen vil kanskje hevde at 12m er for dypt og at fisken ikke vil tåle belastningen, men for meg så virker det som at abboren i Stora Lee tåler dette fint, jeg så ikke noe antydning til trykkskader eller annet på de abborene jeg slapp ut igjen. Uansett anbefaler jeg på generelt grunnlag å ikke fiske dypere enn 8m-10m dersom du har som formål å slippe abboren ut igjen.
Husk å sette deg inn i fiskereglene på Stora Lee, det er aldri feil å slippe noen ut igjen!
Vertikalfiske med gummiagn og jiggskalle etter abbor i kombinasjon med Simrad Livesight ble absolutt den aktiviteten jeg har drevet mest med gjennom sesongen og i motsetning til gjedda er abboren relativt lett å komme i kontakt med. 90% av tiden gikk med til vertikalfiske med gummishads, hovedsakelig Daiwa BaitJunkie og Daiwa Tournament D'Fin. Dette fisket er også veldig barnevennlig og dersom du skal få barna interessert i fiske er abbor absolutt fisken du skal gå etter! Under ser du noen av fangstene fra årets sesong, mesteparten av fiskene vi fikk var mellom 25cm-35cm og disse finnes det mange av. De virkelig store eksemplarene klarte vi ikke å finne i år.
Et utvalg abbor som vi kom i kontakt med gjennom sesongen.
Fiskeutstyr og teknologi
Du trenger verken masse dyr elektronikk eller dyrt fiskeutstyr i båten for å lykkes med fisket på Stora Lee, men at det kan hjelpe deg å ta fisket et steg videre er det nok liten tvil om. Særlig vil jeg anbefale et godt dybdekart som grunnlag for å lete etter grunner. Selv bruker jeg C-Map Reveal på kartplotteren, men C-Map har også egen app til mobiltelefon og har kartene også inkludert i de dedikerte Simrad og Lowrance appene.
Likevel, det hjelper ikke med allverdens utstyr dersom du likevel fisker på feil sted, til feil tid med feil agn. Jeg hører nok til den kategorien fiskere som har langt mer utstyr i båten enn den gjengse fisker har behov for, og mye av tiden på vannet i sommer ble da også brukt til å teste utstyr, noe som igjen kanskje kan forklare noe av årsaken til at jeg ikke oppnådde de resultatene fiskemessig som jeg kanskje hadde sett for meg på forhånd. Det tar også tid å bli kjent i en ny og såpass stor innsjø som Stora Lee, og i den forbindelse har bruk av kart og ekkolodd vært til svært stor hjelp. Fruktene av dette arbeidet regner jeg med å kunne høste av neste år!
Bildeserie av utstyret jeg har benyttet meg av gjennom sesongen på Stora Lee.
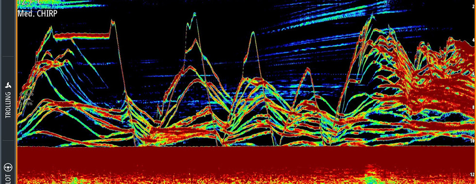
Livesight er en ekkoloddteknologi som er tilgjengelig for Simrad og Lowrance. Denne teknologien gjør at du kan se fisk svømme rundt under båten "live" og på den måten også se hvordan fisken reagerer på agnet du presenterer. Jeg har brukt mye tid på å fiske med Livesight på Stora Lee, og som tidligere nevnt ble vertikalfiske etter abbor en stor hit både hos meg selv og resten av familien. Livesightgiveren har en veldig bred kone og dette gjør at du kan montere den fast på akterspeilet som en vanlig giver og likevel ha fullt utbytte av den under vertikalfiske og trolling. Filmen under viser hvordan systemet fungerer i praksis under vertikalfiske.
Abborfiske med Livesight er kjempemorsomt!
Dersom du ønsker "live" ekkolodd men enda mer detaljer så kan jeg anbefale å ta en titt på "Active Target". Dette systemet har i likhet med Livesight også "live" visning, men pga. høyere frekvens og langt smalere kone får du et svært detaljert bilde opp på skjermen. Her snakker vi en detaljgrad som kan sammenlignes med det du ser på downscan/sidescan, men som i tillegg også viser hele fisken med finner og hale og det hele. Jeg fikk besøk av Dag Røberg på Stora Lee tidlig på sommeren og vi laget denne filmen om Active Target sammen.
Dag Røberg tar oss gjennom mulighetene som Active Target gir deg.
Fiskekort og regler
Fiskekort får du kjøpt både på www.inatur.no og www.fiskekort.se. Fiskekortet på Inatur gjelder kun for norsk del, men ifølge Stora Lee Innsjølag er det nå gjort avtale mellom norske og svenske grunneiere slik at fiskekortet du kjøper via Fiskekort.se nå gjelder for hele innsjøen, både svensk og norsk side. Reglene for trolling på Inatur er noe diffuse, men dette står spesifisert på Fiskekort.se og det er lov med inntil 4 stenger pr. fiskekort. Det betyr at dersom dere er to stykker i båten med hvert deres fiskekort så kan dere fiske med 8 stenger. På samme måte kan du også kjøpe to stk. fiskekort til deg selv og fiske med 8 stenger. Øvrig informasjon knyttet til regler og fangstbegrensinger finner dere på disse sidene.
Natur, omgivelser og øvrige aktiviteter knyttet til Stora Lee Camping
Som nevnt tidligere er Stora Lee en klarvannsinnsjø omgitt av skogsterreng, med innslag av innmark og jordbruksterreng i enkelte områder. Det finnes over 300 øyer og holmer og hele innsjøen er meget godt tilrettelagt for utforsking med båt, kano eller kajakk. Særlig på den svenske siden finnes det masse rasteplasser som er tilrettelagt for overnatting med fortøyningsmuligheter, strender og bålplasser.
Vi valgte å kjøpe oss campingvogn på fast plass på Stora Lee Camping, men campingen tilbyr også utleie av døgnplasser for campingvogner, bobiler og telt. I tillegg finnes det en rekke utleiehytter av ulik standard, fra helt enkle campinghytter til "luksushytter". Det er også mulig å leie kano og/eller kajakk og for fiskeinteresserte uten båt så har campingen også et antall velutstyrte båter for utleie. Disse er utstyrt med 30hk utenbordsmotor, styrekonsoll og stangholdere. Har du med egen båt så er det ei fin båtrampe nede ved bryggene.
Dersom du vil ha med samboer og familie er det også godt tilrettelagt for både bading og lek på land, med den store "hoppeputa" som kanskje den mest attraktive aktiviteten for barna (og enkelte voksne).
Du kan lese mer på www.storalee.no.
Stemningsbilder fra Stora Lee og omgivelsene.
Er det verdt å ta turen til Stora Lee?
Svaret på det er definitivt et rungende ja. Enten du er på utkikk etter et sted å dra på camping en helg, du planlegger kanotur eller du er på utkikk etter et spennende fiskevann med flotte omgivelser så kan jeg definitivt anbefale å ta en tur. I tillegg til tidligere nevnte aktiviteter så har man jo også nærheten til Sverige, fra Stora Lee camping bruker du en drøy halvtime med en planende båt, eller 45 minutter med bil, til kjøpesenteret i Töcksfors. Drar du sydover kommer du til Ed, her kan jeg anbefale en tur til fiskebutikken "Fiskespesialisten i Ed" for litt harryhandling av fisketutsyr. På turen ned dit kan dere stoppe i Nössemark for å spise lunsj på den hyggelige kaféen ved brygga. Det er i det hele tatt mye å finne på ved og på Stora Lee. Det finnes også flere muligheter for overnatting, men det har vært naturlig for meg å fokusere på Stora Lee camping da det er her vi har oppholdt oss, og dette er defintivt et meget godt utgangspunkt for å utforske innsjøen og dens omgivelser.
Da gjenstår det bare for meg å ønske god tur og skitt fiske!
Hilsen Atle


































































































































































Kommentarer